高温或肥水不足、药害、虫害、顶腐病等均会导致玉米叶片打卷。
高温或肥水不足:提高土壤墒情,雨季或浇水后喷施叶面肥,加快恢复。
药害:若药害较轻,可人工剖开心叶。若药害较为严重,需浇水追肥,加快恢复。
虫害:查清具体为害害虫种类,然后喷施对应的杀虫剂进行防治。
顶腐病:及时喷施甲霜灵、多菌灵等药剂进行防治,同时施加适量锌肥。

一、玉米叶片打卷的原因
1、高温或肥水不足
(1)玉米品种不同对生长环境的要求有所不同,适应性也都会有所差异。而玉米心叶打卷的比例也会因此有非常大的区别,在每年五月份左右的时候,由于昼夜温差时很大的,所以叶片分化会受到影响,从而造成植株的五六片叶子开始打卷。
(2)而如果田间钾元素不足的话,会降低玉米植株的抗逆性,同样也会导致玉米出现叶子打卷现象。一般提高土壤墒情,雨季或者是浇水后促进恢复且喷洒叶面肥的话,可加快其恢复速度。

2、药害原因
(1)玉米在生长过程中,是需要合理使用农药进行病菌、害虫的防治。
(2)但是要注意控制好用量及种类,例如在使用烟嘧磺隆等除草剂时,如果玉米幼苗不足三片叶片或者是超出五片叶片,亦或是在高温环境下使用、用量过多等,都容易导致玉米出现药害,从而造成玉米出现叶子打卷、皱缩等现象。
(3)严重的时候会导致心叶腐烂,如果症状较轻的话,那么可自然恢复,严重的话要及时人工剖开心叶。对于产生药害的田块,要适当追肥浇水以及喷洒叶面肥等,促使植株恢复。

3、虫害原因
(1)虫害也是导致玉米叶子打卷的一个主要原因。其中常见的有蓟马等虫害,蓟马通常多在玉米幼苗4片叶子左右的时候造成危害。
(2)玉米幼苗在受到蓟马危害后,观察叶片可发现出现斑点,斑点处逐渐褪绿。将新叶剥开的话,可以看见有蓟马在活动。
(3)这个时候,可用烯啶虫胺、乙基多杀菌等药剂进行喷洒防治。主要是对心叶、叶背进行,如果卷叶现象严重的话,那么要人工将扭曲的心叶剥除。

4、顶腐病导致
(1)顶腐病也是导致玉米叶子打卷的原因之一。在玉米整个生育期中都是可以发病的,心叶最外面一层的叶片会将植株内部心叶包裹住,导致没有办法展开而出现畸形、卷叶等现象。
(2)观察基部还可发现有腐烂现象,因此做好顶腐病的防治工作也是避免玉米叶子打卷的主要措施。其中可用甲霜灵、多菌灵等药剂进行防治,同时可加入适量的锌肥,增强植株的抗病性。

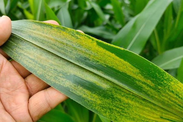
二、玉米叶尖发黄的原因
1、出现缺水、水涝时,玉米根系的呼吸和养分运输受阻,上部叶片会卷曲,叶丛逐渐变为黄绿色,严重时叶片边缘或叶尖变黄,随后下部叶片的叶尖端、叶缘干枯。
2、缺少钾元素时,最开始老叶会逐渐的出现失绿和坏死现象,慢慢的成熟叶片的叶尖和边缘褪绿,先是出现斑点状,之后会连成片。严重时,叶尖和叶缘有坏死的斑点,叶缘干枯形成烧焦状。
3、缺少锌元素时,叶片容易出现淡黄色带区,拔节后老叶及病叶中脉会出现黄白色的条形,或两边不规则的黄色斑块。

4、缺少硫元素时,新叶会先出现黄化,随后茎和叶逐渐变红。有的新叶呈现出相似的黄色,叶尖、叶基部呈现浅绿色,老叶的基部呈红色。
5、玉米基腐病和玉米顶腐病会造成叶尖发黄,顶腐病会让心叶从叶基部腐烂干枯,基腐病是下部叶片发黄。
6、耕葵粉蚧的若虫和雌成虫集中在玉米幼苗近地表茎基部、根部和叶鞘内,吸食玉米的汁液,导致玉米的叶鞘发黄干枯。
© 农笔记 | 关于我们 | 版权声明 | 免责声明 | 湘ICP备2021002603号-6